Официальное опубликование правовых актов
ОФИЦИАЛЬНОЕ ОПУБЛИКОВАНИЕ
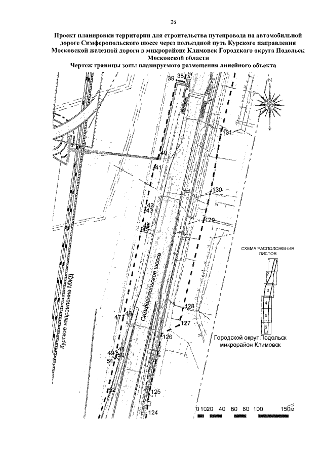
Постановление Правительства Московской области от 08.09.2021 № 819/29
"Об утверждении проекта планировки территории для строительства путепровода на автомобильной дороге Симферопольского шоссе через подъездной путь Курского направления Московской железной дороги в микрорайоне Климовск Городского округа Подольск Московской области"
Номер опубликования: 5000202109090003
Дата опубликования: 09.09.2021
Страница №28 из 38:
Увеличить