Официальное опубликование правовых актов
ОФИЦИАЛЬНОЕ ОПУБЛИКОВАНИЕ
Постановление Правительства Московской области от 24.08.2021 № 725/28
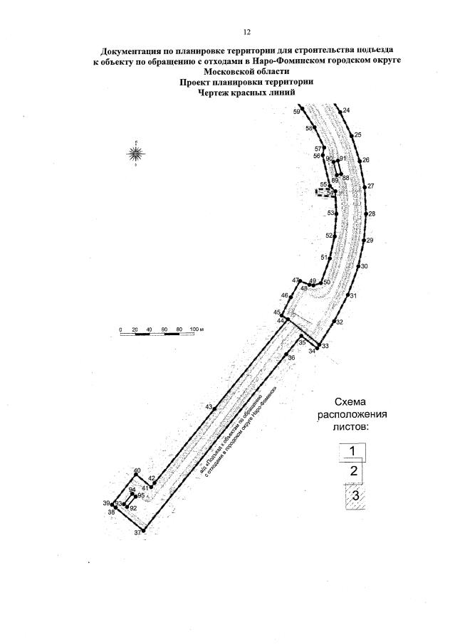
"О внесении изменения в документацию по планировке территории для строительства подъезда к объекту по обращению с отходами в Наро-Фоминском городском округе Московской области."
Номер опубликования: 5000202108260005
Дата опубликования: 26.08.2021
Страница №14 из 37:
Увеличить