Постановление Правительства Московской области от 30.06.2021 № 530/18
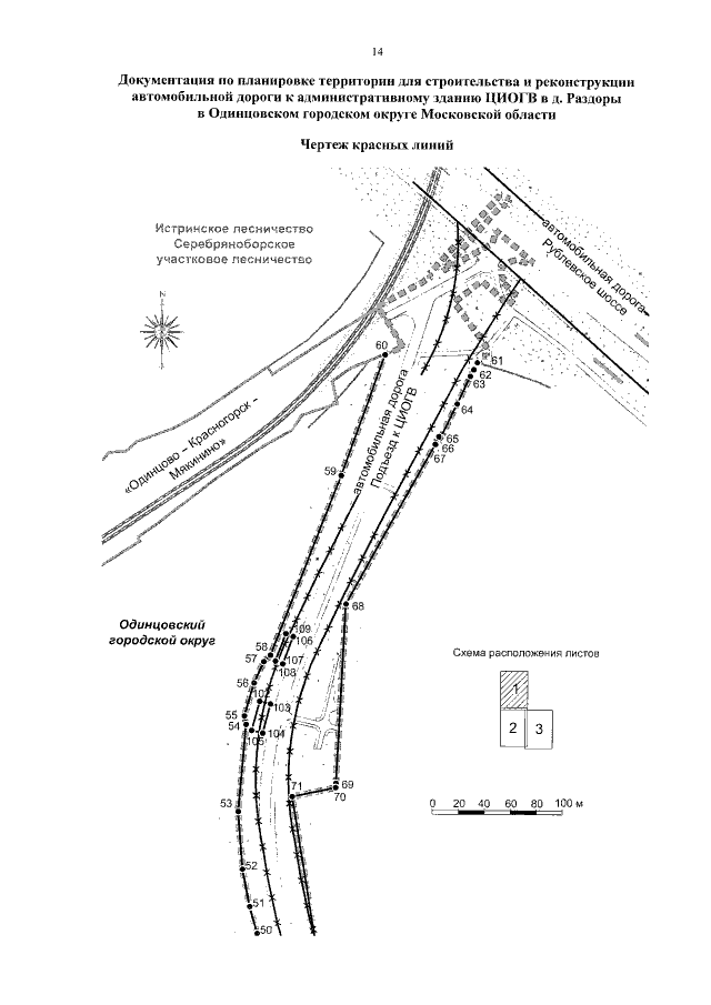
"Об утверждении документации по планировке территории для строительства и реконструкции автомобильной дороги к административному зданию ЦИОГВ в д. Раздоры в Одинцовском городском округе Московской области"
"Об утверждении документации по планировке территории для строительства и реконструкции автомобильной дороги к административному зданию ЦИОГВ в д. Раздоры в Одинцовском городском округе Московской области"
Номер опубликования: 5000202107010002
Дата опубликования:
01.07.2021
