Официальное опубликование правовых актов
ОФИЦИАЛЬНОЕ ОПУБЛИКОВАНИЕ
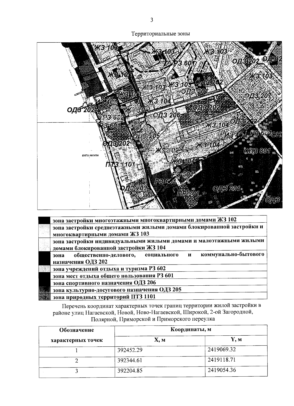
Постановление Правительства Магаданской области от 10.11.2023 № 750-пп
"Об утверждении проекта решения о комплексном развитии несмежных территорий жилой застройки в районе микрорайона Нагаево и улицы Морская муниципального образования "Город Магадан"
Номер опубликования: 4900202311100006
Дата опубликования: 10.11.2023
Страница №8 из 86:
Увеличить