Приказ управления строительства и архитектуры Липецкой области от 21.05.2024 № 187
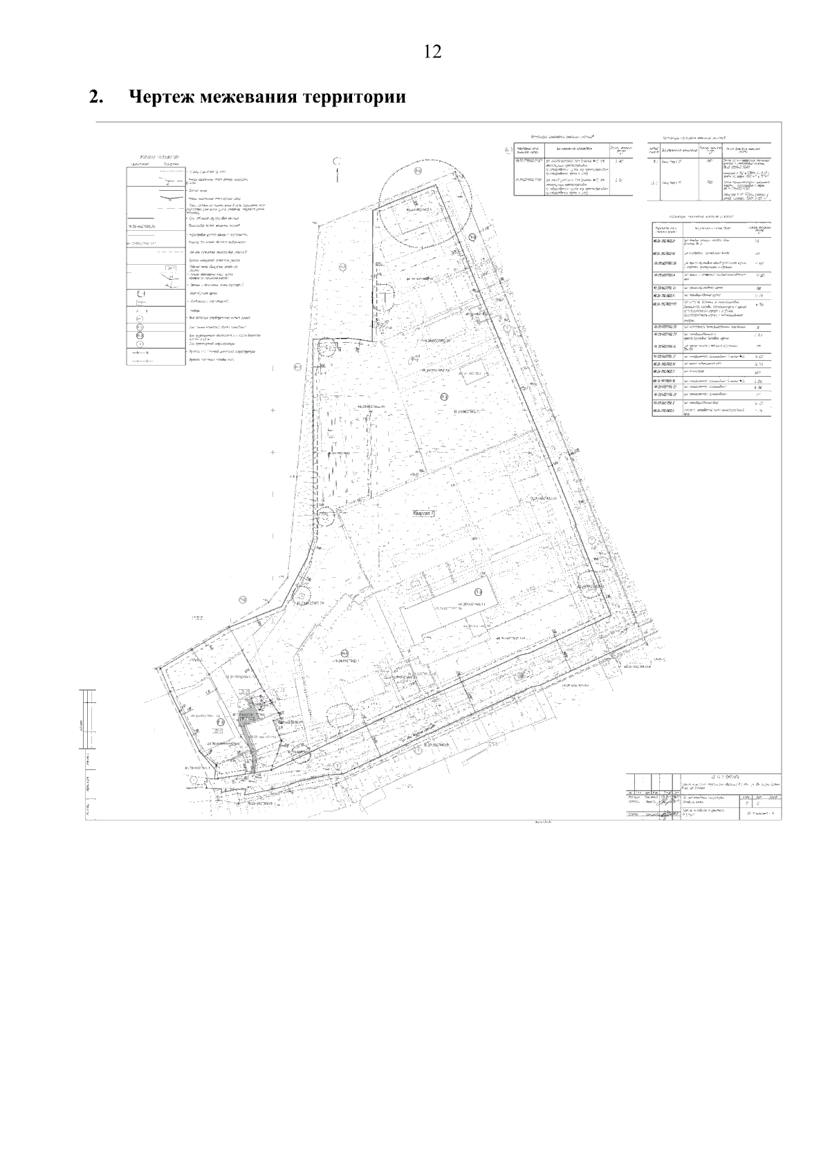
"Об утверждении проекта межевания территории квартала в районе ул. Им. Клары Цеткин в городе Липецке"
"Об утверждении проекта межевания территории квартала в районе ул. Им. Клары Цеткин в городе Липецке"
Номер опубликования: 4801202405240006
Дата опубликования:
24.05.2024
