Официальное опубликование правовых актов
ОФИЦИАЛЬНОЕ ОПУБЛИКОВАНИЕ
Приказ управления строительства и архитектуры Липецкой области от 06.03.2023 № 53
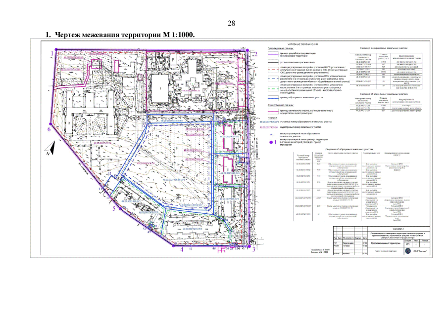
"Об утверждении документации по планировке территории (проект планировки и проект межевания), ограниченной улицами 40 лет Октября, Северная, Восточная в городе Липецке"
Номер опубликования: 4801202303140006
Дата опубликования: 14.03.2023
Страница №30 из 30:
Увеличить