Официальное опубликование правовых актов
ОФИЦИАЛЬНОЕ ОПУБЛИКОВАНИЕ
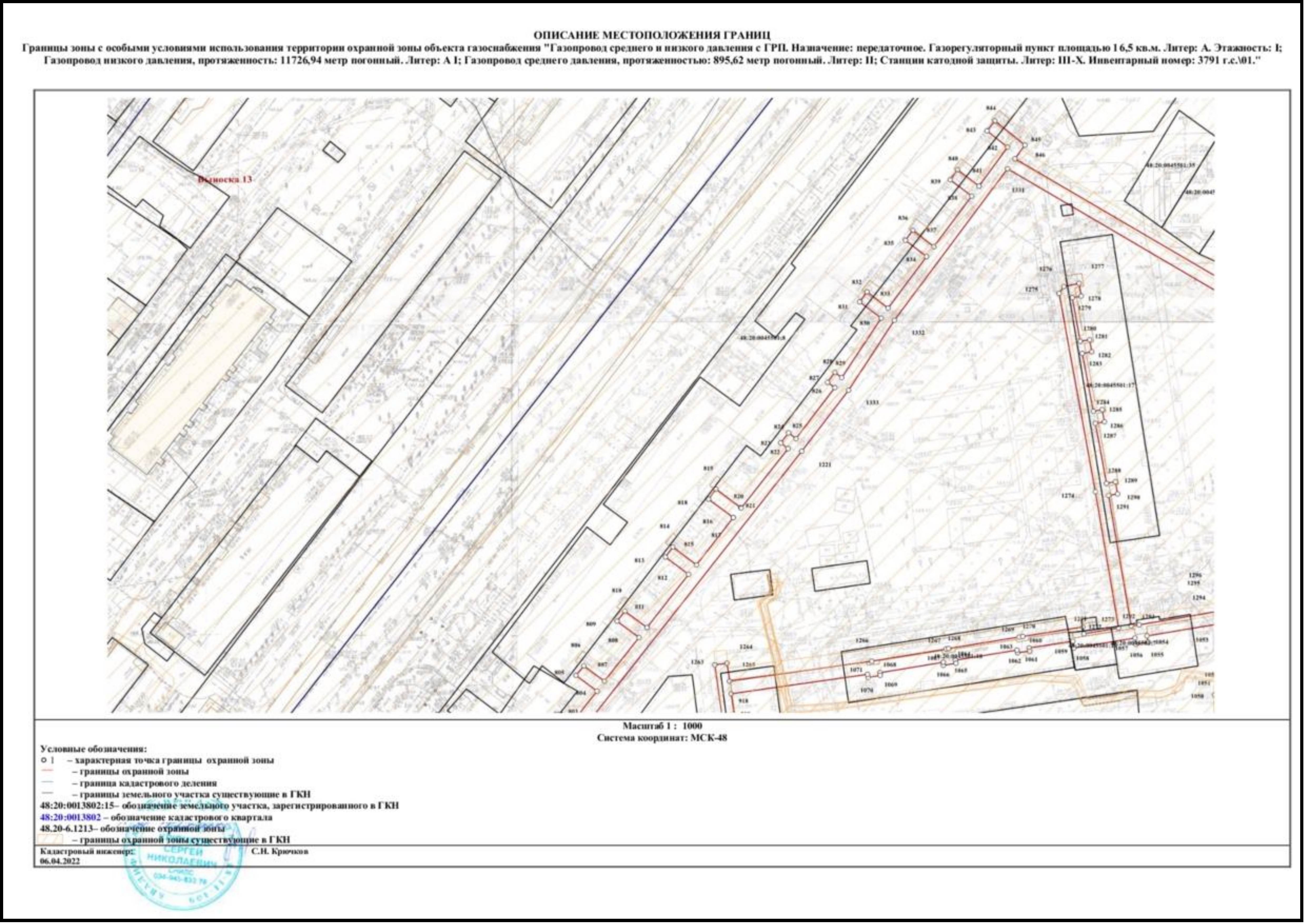
Постановление управления энергетики и тарифов Липецкой области от 23.08.2022 № 33/2
"О внесении изменения в постановление управления энергетики и тарифов Липецкой области от 02 октября 2015 года № 38 "Об утверждении границ охранной зоны газораспределительной сети"
Номер опубликования: 4801202208310001
Дата опубликования: 31.08.2022
Страница №76 из 77: