Официальное опубликование правовых актов
ОФИЦИАЛЬНОЕ ОПУБЛИКОВАНИЕ
Приказ Комитета градостроительной политики Ленинградской области от 15.07.2022 № 99
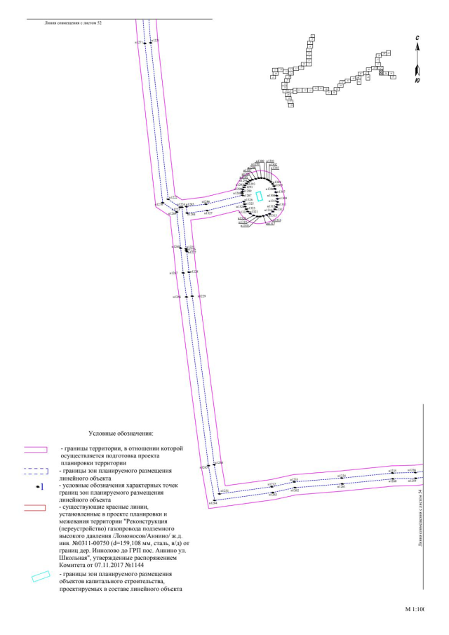
"Об утверждении проекта планировки территории и проекта межевания территории с целью размещения линейного объекта "Газопровод межпоселковый от ГРС "Большевик ГПЗ" до д. Алакюля, п. Ропша, д. Рапполово, д. Тиммолово, д. Капорское, д. Пигелево, д. Куттузи Ломоносовского района"
Номер опубликования: 4701202207180001
Дата опубликования: 18.07.2022
Страница №55 из 230:
Увеличить