Официальное опубликование правовых актов
ОФИЦИАЛЬНОЕ ОПУБЛИКОВАНИЕ
Приказ Комитета градостроительной политики Ленинградской области от 25.06.2021 № 80
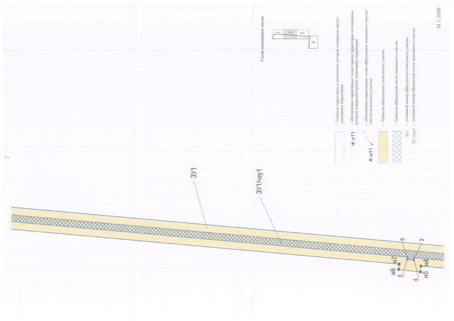
"Об утверждении проекта планировки территории и проекта межевания территории в целях размещения линейного объекта "Газопровод межпоселковый до котельной ВММК во Всеволожском районе Ленинградской области"
Номер опубликования: 4701202107020006
Дата опубликования: 02.07.2021
Страница №37 из 39:
Увеличить