Приказ Комитета по культуре Ленинградской области от 22.11.2018 № 01-03/18-295
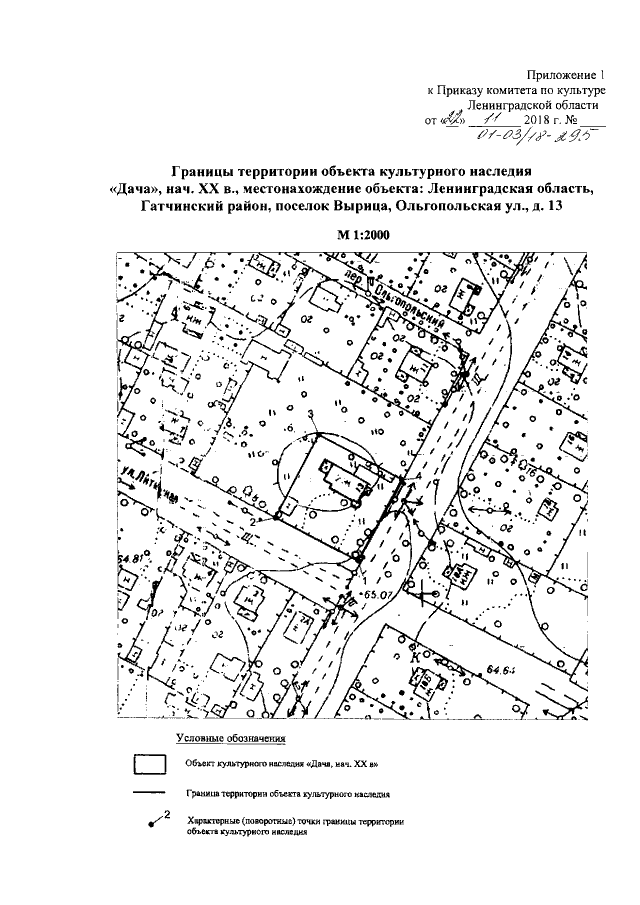
"О включении выявленного объекта культурного наследия "Дача", местонахождение объекта: Ленинградская область, Гатчинский муниципальный район, п. Вырица, Олигопольская ул., д. 13, в единый государственный реестр объектов культурного наследия (памятников истории и культуры) народов Российской Федерации в качестве объекта культурного наследия регионального значения, утверждении границ его территории и установлении предмета охраны"
"О включении выявленного объекта культурного наследия "Дача", местонахождение объекта: Ленинградская область, Гатчинский муниципальный район, п. Вырица, Олигопольская ул., д. 13, в единый государственный реестр объектов культурного наследия (памятников истории и культуры) народов Российской Федерации в качестве объекта культурного наследия регионального значения, утверждении границ его территории и установлении предмета охраны"
Номер опубликования: 4701201811280027
Дата опубликования:
28.11.2018
