Официальное опубликование правовых актов
ОФИЦИАЛЬНОЕ ОПУБЛИКОВАНИЕ
Приказ Комитета по охране объектов культурного наследия Курской области от 02.12.2021 № 01.1-08/592
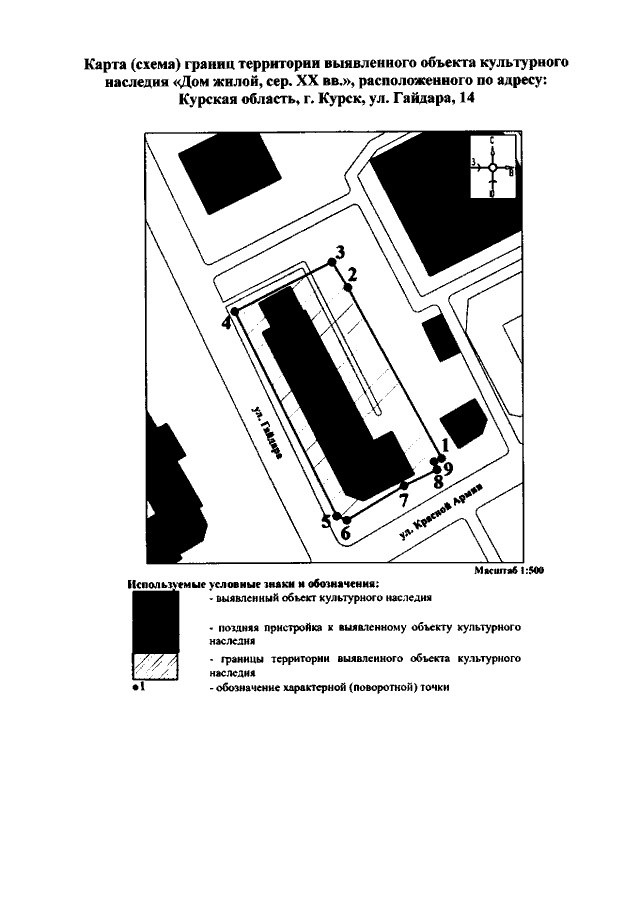
"Об утверждении границ и режима использования территории выявленного объекта культурного наследия "Дом жилой, сер. XX вв.", расположенного по адресу: Курская область, г. Курск, ул. Гайдара, 14"
Номер опубликования: 4601202112080001
Дата опубликования: 08.12.2021
Страница №3 из 6:
Увеличить