Официальное опубликование правовых актов
ОФИЦИАЛЬНОЕ ОПУБЛИКОВАНИЕ
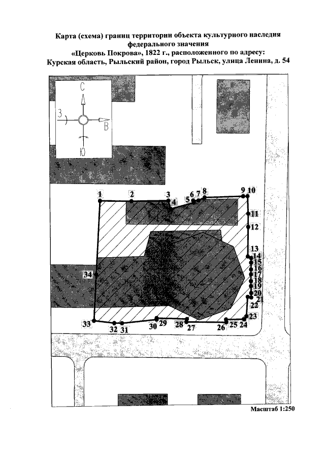
Приказ Комитета по охране объектов культурного наследия Курской области от 15.01.2021 № 01.1-08/21
"Об утверждении границ и режима использования территории объекта культурного наследия федерального значения "Церковь Покрова", 1822 г.‚ расположенного по адресу: Курская область, Рыльский район, город Рыльск, улица Ленина, д. 54"
Номер опубликования: 4601202101220006
Дата опубликования: 22.01.2021
Страница №4 из 9:
Увеличить