Приказ Управления Администрации Курской области по охране объектов культурного наследия от 09.10.2020 № 231-п
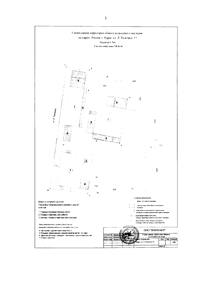
"О включении выявленного объекта культурного наследия "Ансамбль свечного завода", расположенного по адресу: Курская область, город Курск, ул. Льва Толстого, д. 13, в составе: "Административное здание - 2", "Служебное здание - 2", в единый государственный реестр объектов культурного наследия (памятников истории и культуры) народов Российской Федерации в качестве объекта культурного наследия регионального значения "Ансамбль Епархиального свечного завода" и утверждении границ его территории"
"О включении выявленного объекта культурного наследия "Ансамбль свечного завода", расположенного по адресу: Курская область, город Курск, ул. Льва Толстого, д. 13, в составе: "Административное здание - 2", "Служебное здание - 2", в единый государственный реестр объектов культурного наследия (памятников истории и культуры) народов Российской Федерации в качестве объекта культурного наследия регионального значения "Ансамбль Епархиального свечного завода" и утверждении границ его территории"
Номер опубликования: 4601202010160002
Дата опубликования:
16.10.2020
