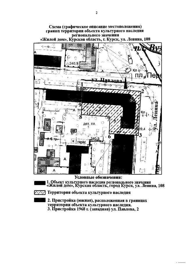
Приказ Управления Администрации Курской области по охране объектов культурного наследия от 20.09.2019 № 129-п
"Об утверждении границ и режима использования территории объекта культурного наследия регионального значения (Жилой дом", нач. 1950-х гг.‚ расположенного по адресу: г. Курск, ул. Ленина, д. 108"
"Об утверждении границ и режима использования территории объекта культурного наследия регионального значения (Жилой дом", нач. 1950-х гг.‚ расположенного по адресу: г. Курск, ул. Ленина, д. 108"
Номер опубликования: 4601201909260001
Дата опубликования:
26.09.2019
