Приказ Управления Администрации Курской области по охране объектов культурного наследия от 25.02.2019 № 57-п
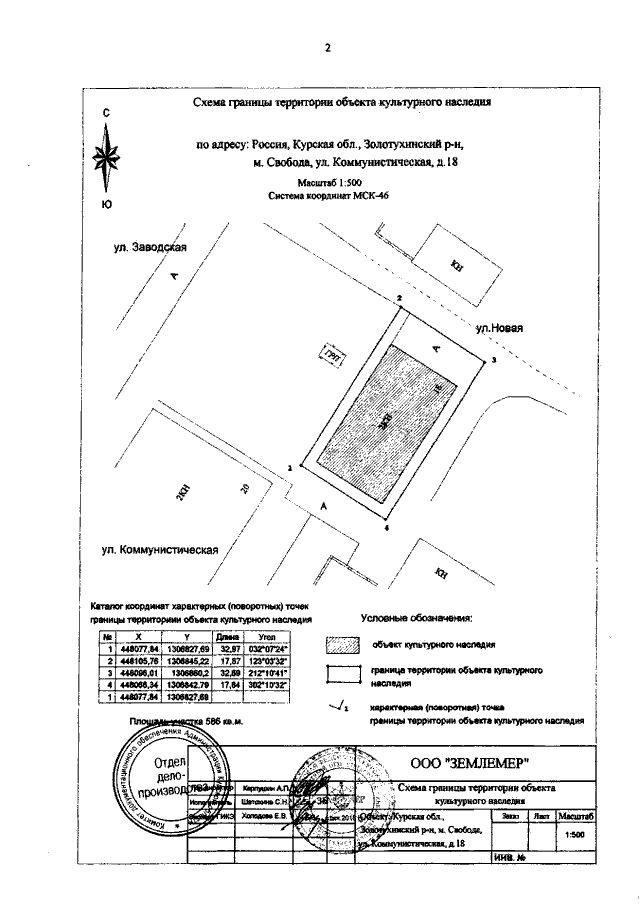
"О включении выявленного объекта культурного наследия "Гостиница "Борисов", нач. XIХ в."‚ расположенного по адресу: Курская область, Золотухинский район, м. Свобода, ул. Коммунистическая, д. 18, в единый государственный реестр объектов культурного наследия (памятников истории и культуры) народов Российской Федерации в качестве объекта культурного наследия регионального значения "Гостиница "Борисов" и утверждении границ его территории"
"О включении выявленного объекта культурного наследия "Гостиница "Борисов", нач. XIХ в."‚ расположенного по адресу: Курская область, Золотухинский район, м. Свобода, ул. Коммунистическая, д. 18, в единый государственный реестр объектов культурного наследия (памятников истории и культуры) народов Российской Федерации в качестве объекта культурного наследия регионального значения "Гостиница "Борисов" и утверждении границ его территории"
Номер опубликования: 4601201903050002
Дата опубликования:
05.03.2019
