Официальное опубликование правовых актов
ОФИЦИАЛЬНОЕ ОПУБЛИКОВАНИЕ
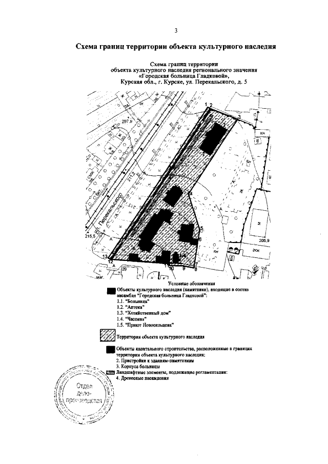
Приказ Управления Администрации Курской области по охране объектов культурного наследия от 19.12.2018 № 58-п
"Об утверждении границ и режима использования территории объекта культурного наследия регионального значения "Городская больница Гладковой" (ансамбль), расположенного по адресу: Курская область, г.Курск‚ ул. Перекальского, 5"
Номер опубликования: 4601201812210008
Дата опубликования: 21.12.2018
Страница №5 из 7:
Увеличить