Официальное опубликование правовых актов
ОФИЦИАЛЬНОЕ ОПУБЛИКОВАНИЕ
Постановление Департамента имущественных и земельных отношений Курганской области от 28.07.2020 № 45-п
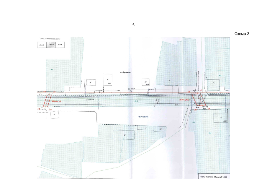
"Об установлении публичного сервитута на части земельного участка общей площадью 618 кв. м, входящие в состав земельного участка с кадастровым номером 45:08:011301:2549 площадью 14001 кв. м в границах полосы отвода автомобильной дороги Подъезд к Просвет, находящегося по адресу: Курганская область, Кетовский район, в границах Муниципального образования Просветский сельсовет в целях размещения ВЛ 10 кВ Л-1 ПС Просвет-тяга; ВЛ 0,4 кВ н.п Просвет, инв. № 204007881"
Номер опубликования: 4501202007290001
Дата опубликования: 29.07.2020
Страница №6 из 8:
Увеличить