Официальное опубликование правовых актов
ОФИЦИАЛЬНОЕ ОПУБЛИКОВАНИЕ
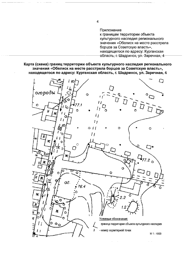
Постановление Правительства Курганской области от 02.04.2019 № 101
"Об утверждении границ территории объекта культурного наследия"
Номер опубликования: 4500201904100016
Дата опубликования: 10.04.2019
Страница №4 из 4:
Увеличить