Постановление Правительства Курганской области от 26.11.2018 № 385
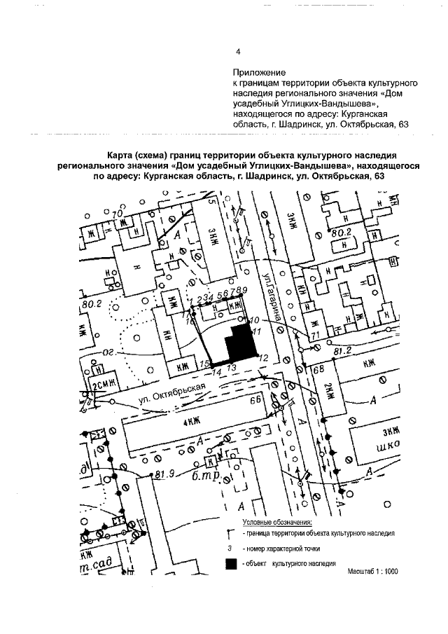
"Об утверждении границ территории объекта культурного наследия регионального значения "Дом усадебный Углицких-Вандышева", находящегося по адресу: Курганская область, г. Шадринск, ул. Октябрьская, 63"
"Об утверждении границ территории объекта культурного наследия регионального значения "Дом усадебный Углицких-Вандышева", находящегося по адресу: Курганская область, г. Шадринск, ул. Октябрьская, 63"
Номер опубликования: 4500201811300018
Дата опубликования:
30.11.2018
