Постановление Правительства Курганской области от 14.03.2017 № 72
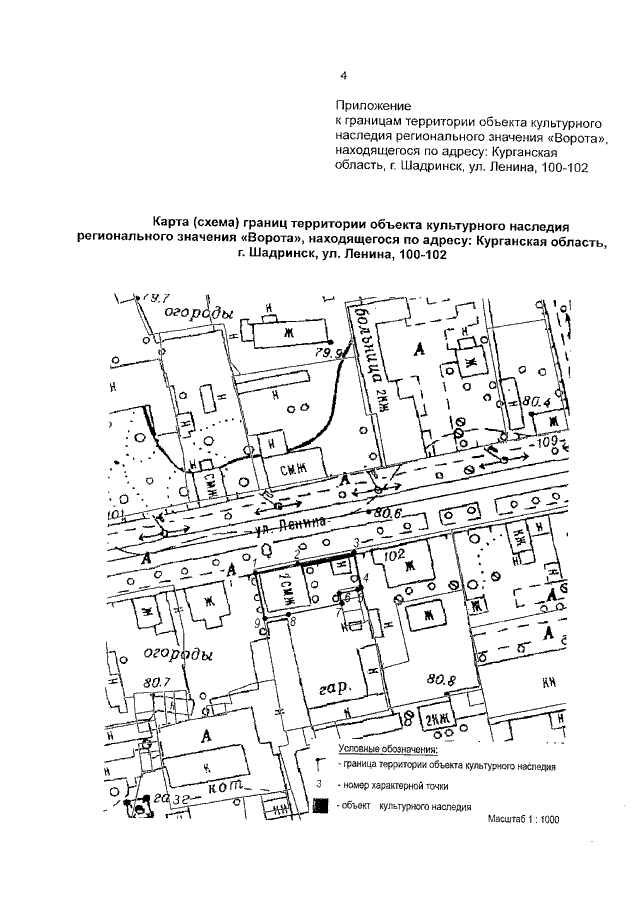
"Об утверждении границ территории объекта культурного наследия регионального значения "Ворота", находящегося по адресу: Курганская область, г. Шадринск, ул. Ленина, 100-102"
"Об утверждении границ территории объекта культурного наследия регионального значения "Ворота", находящегося по адресу: Курганская область, г. Шадринск, ул. Ленина, 100-102"
Номер опубликования: 4500201703150011
Дата опубликования:
15.03.2017
