Постановление Правительства Курганской области от 11.07.2016 № 206
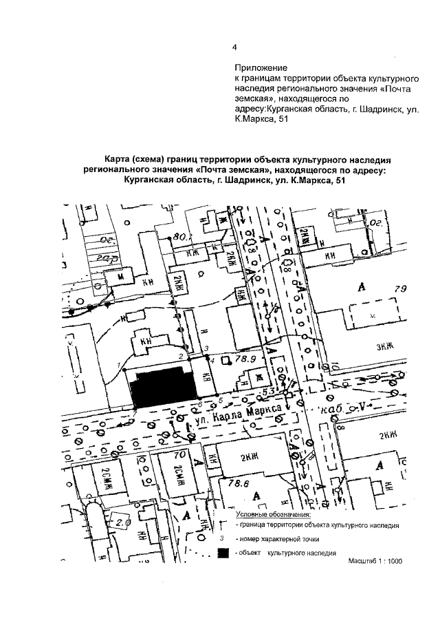
"Об утверждении границ территории объекта культурного наследия регионального значения "Почта земская", находящегося по адресу: Курганская область, г. Шадринск, ул. К.Маркса, 51"
"Об утверждении границ территории объекта культурного наследия регионального значения "Почта земская", находящегося по адресу: Курганская область, г. Шадринск, ул. К.Маркса, 51"
Номер опубликования: 4500201607140002
Дата опубликования:
14.07.2016
