Постановление Правительства Курганской области от 14.06.2016 № 159
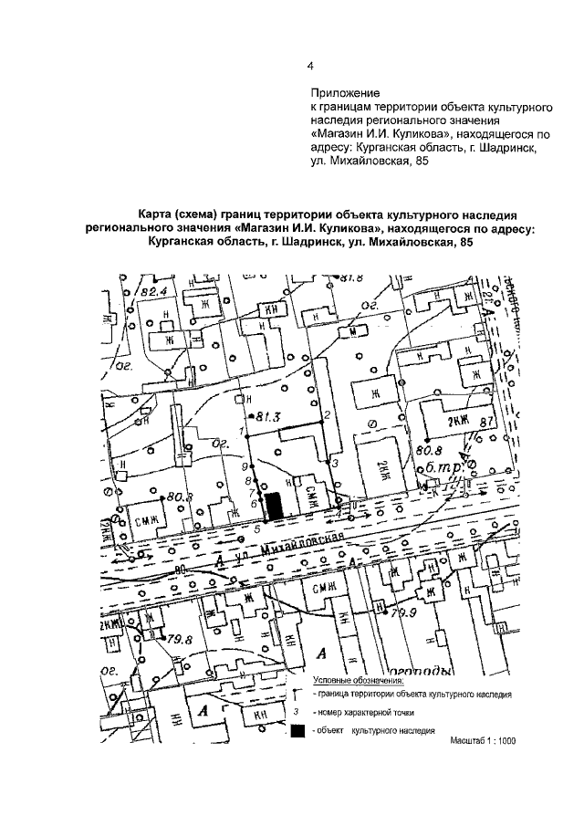
"Об утверждении границ территории объекта культурного наследия регионального значения "Магазин И.И. Куликова", находящегося по адресу: Курганская область, г. Шадринск, ул. Михайловская, 85"
"Об утверждении границ территории объекта культурного наследия регионального значения "Магазин И.И. Куликова", находящегося по адресу: Курганская область, г. Шадринск, ул. Михайловская, 85"
Номер опубликования: 4500201606200012
Дата опубликования:
20.06.2016
