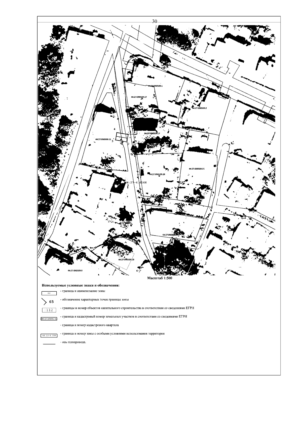
Приказ Департамента имущественных и земельных отношений Костромской области от 16.07.2024 № 99-од
"Об установлении охранных зон газопроводов газораспределительных сетей"
(Зарегистрирован 18.07.2024 № 343)
"Об установлении охранных зон газопроводов газораспределительных сетей"
(Зарегистрирован 18.07.2024 № 343)
Номер опубликования: 4401202407190002
Дата опубликования:
19.07.2024
