Официальное опубликование правовых актов
ОФИЦИАЛЬНОЕ ОПУБЛИКОВАНИЕ
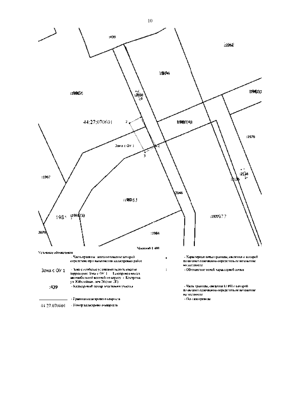
Приказ Департамента имущественных и земельных отношений Костромской области от 03.06.2024 № 77-од
"Об установлении охранных зон газопроводов газораспределительных сетей"
(Зарегистрирован 05.06.2024 № 280)
Номер опубликования: 4401202406060004
Дата опубликования: 06.06.2024
Страница №12 из 56:
Увеличить