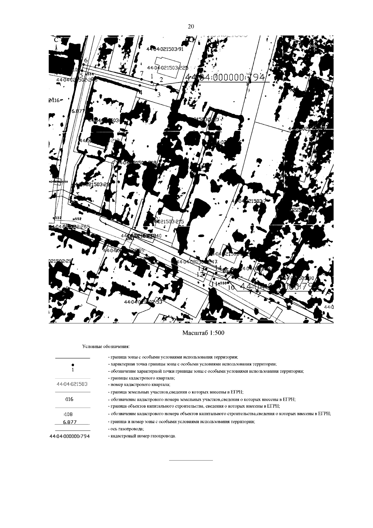
Приказ Департамента имущественных и земельных отношений Костромской области от 07.02.2024 № 25-од
"Об установлении охранных зон газопроводов газораспределительных сетей"
(Зарегистрирован 08.02.2024 № 66)
"Об установлении охранных зон газопроводов газораспределительных сетей"
(Зарегистрирован 08.02.2024 № 66)
Номер опубликования: 4401202402090002
Дата опубликования:
09.02.2024
