Официальное опубликование правовых актов
ОФИЦИАЛЬНОЕ ОПУБЛИКОВАНИЕ
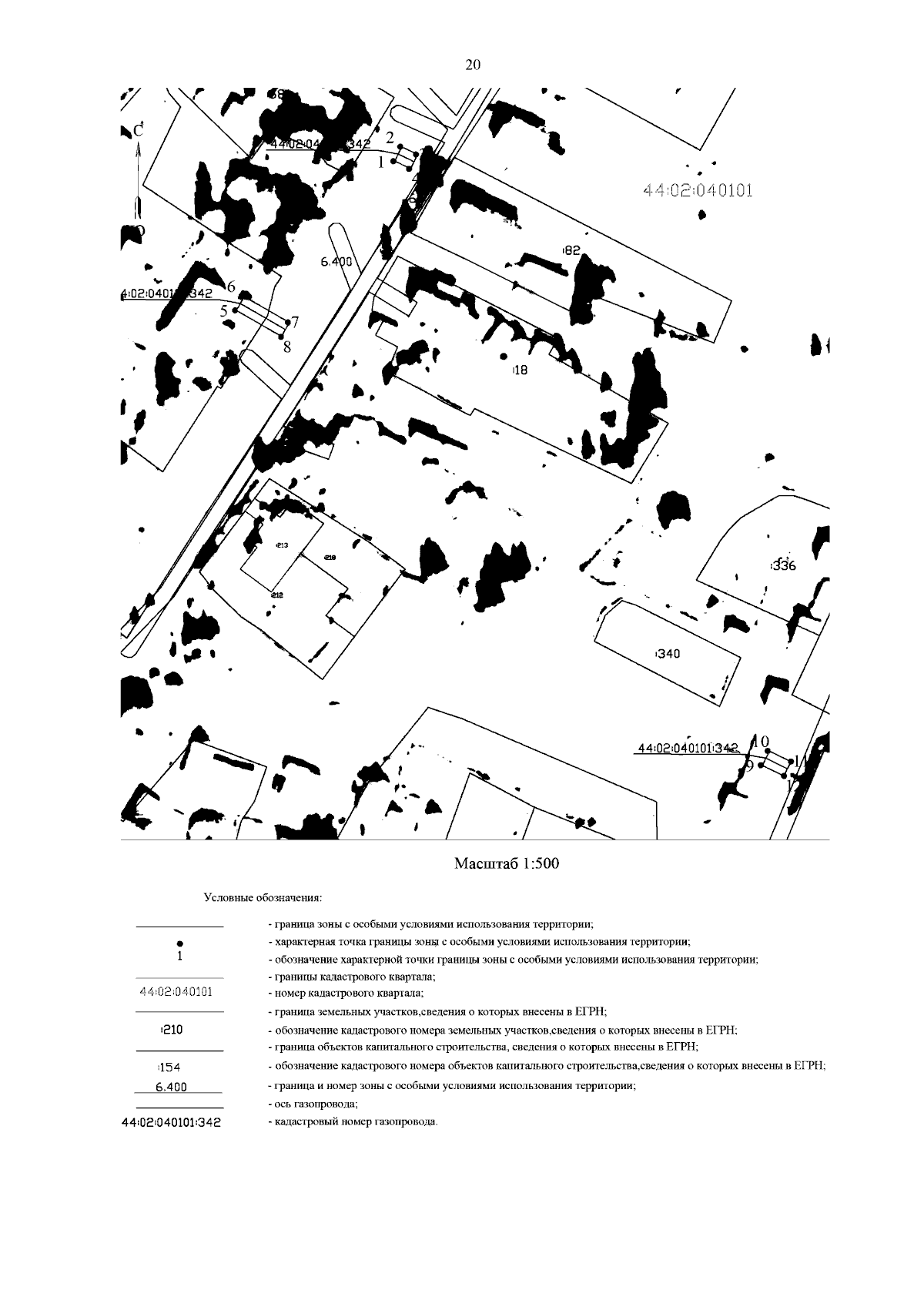
Приказ Департамента имущественных и земельных отношений Костромской области от 02.02.2024 № 21-од
"Об установлении охранных зон газопроводов газораспределительных сетей"
(Зарегистрирован 06.02.2024 № 61)
Номер опубликования: 4401202402080004
Дата опубликования: 08.02.2024
Страница №22 из 57:
Увеличить