Официальное опубликование правовых актов
ОФИЦИАЛЬНОЕ ОПУБЛИКОВАНИЕ
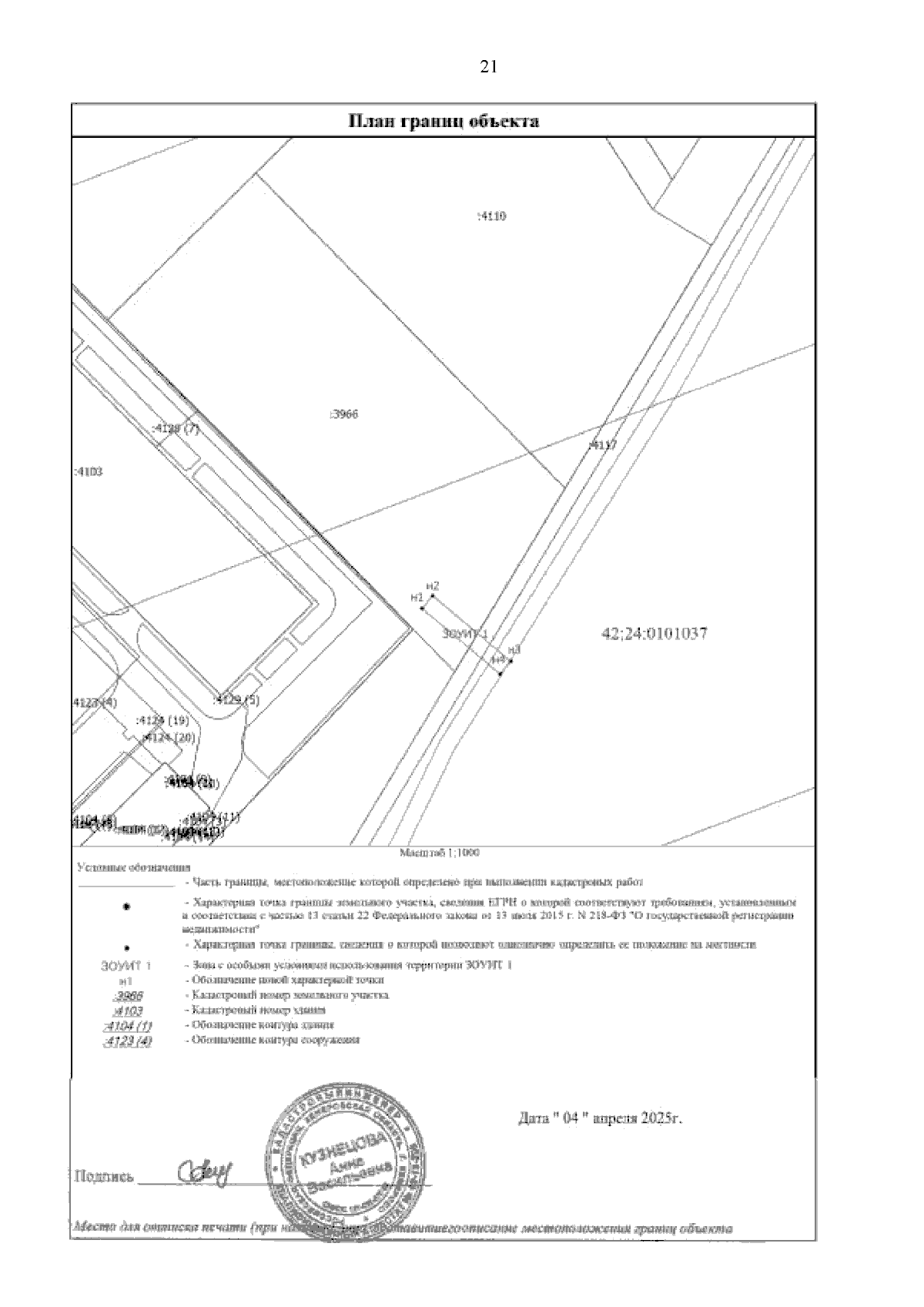
Приказ Министерства промышленности и торговли Кузбасса от 16.10.2025 № 01-05/210
"Об утверждении границ охранных зон существующих газораспределительных сетей и наложении ограничений (обременений) на входящие в них земельные участки"
(Зарегистрирован 20.10.2025 № 00182514214)
Номер опубликования: 4201202510270002
Дата опубликования: 27.10.2025
Страница №21 из 392:
Увеличить