Официальное опубликование правовых актов
ОФИЦИАЛЬНОЕ ОПУБЛИКОВАНИЕ
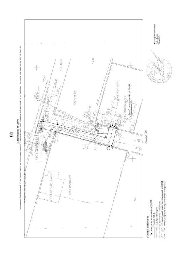
Приказ Министерства промышленности и торговли Кузбасса от 02.08.2023 № 01-05/130
"Об утверждении границ охранных зон существующих газораспределительных сетей и наложении ограничений (обременений) на входящие в них земельные участки"
(Зарегистрирован 02.08.2023 № 02692314214)
Номер опубликования: 4201202308090003
Дата опубликования: 09.08.2023
Страница №122 из 209:
Увеличить