Постановление Правительства Кемеровской области - Кузбасса от 16.04.2021 № 205
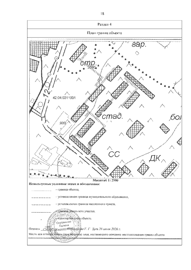
"Об утверждении границ охранной зоны существующей газораспределительной сети "Сооружение под трубопроводный транспорт (газопровод) низкого давления" с кадастровым номером 42:04:0311001:2680 и наложении ограничений (обременений) на входящие в нее земельные участки"
"Об утверждении границ охранной зоны существующей газораспределительной сети "Сооружение под трубопроводный транспорт (газопровод) низкого давления" с кадастровым номером 42:04:0311001:2680 и наложении ограничений (обременений) на входящие в нее земельные участки"
Номер опубликования: 4200202104210006
Дата опубликования:
21.04.2021
