Официальное опубликование правовых актов
ОФИЦИАЛЬНОЕ ОПУБЛИКОВАНИЕ
Постановление Правительства Кемеровской области - Кузбасса от 10.12.2020 № 739
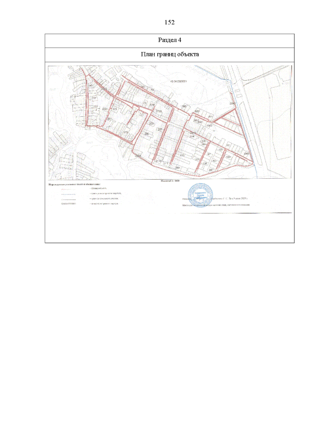
"Об утверждении границ охранной зоны существующей газораспределительной сети "Строительство сетей газоснабжения в с. Ягуново Кемеровского района (1-я очередь)" с кадастровым номером 42:04:0320001:2949 и наложении ограничений (обременений) на входящие в нее земельные участки"
Номер опубликования: 4200202012140011
Дата опубликования: 14.12.2020
Страница №152 из 152:
Увеличить