Официальное опубликование правовых актов
ОФИЦИАЛЬНОЕ ОПУБЛИКОВАНИЕ
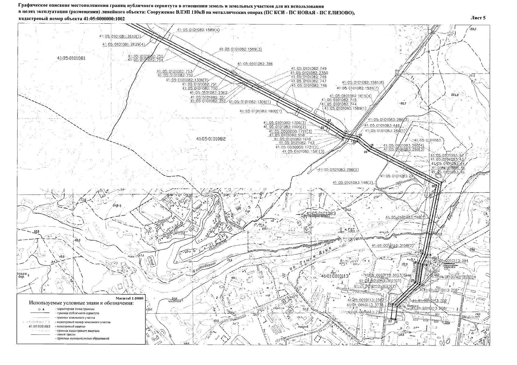
Приказ Министерства имущественных и земельных отношений Камчатского края от 16.01.2024 № 2-Н
"Об установлении публичного сервитута в целях размещения объекта электросетевого хозяйства "Сооружение ВЛЭП 110 кв на металлических опорах" c кадастровым номером 41:05:0000000:1002"
(Зарегистрирован 16.01.2024 № 2-Н)
Номер опубликования: 4101202401180005
Дата опубликования: 18.01.2024
Страница №24 из 24:
Увеличить