Официальное опубликование правовых актов
ОФИЦИАЛЬНОЕ ОПУБЛИКОВАНИЕ
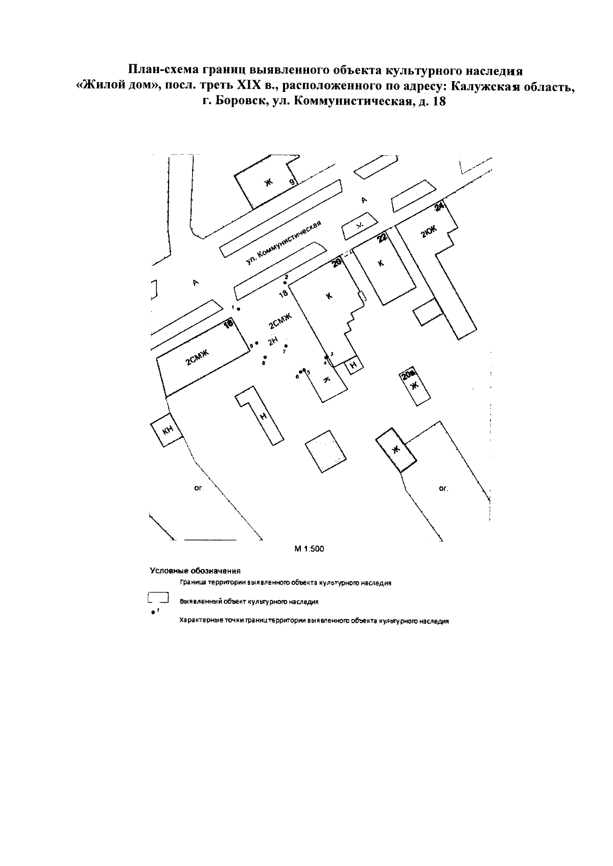
Приказ Управления по охране объектов культурного наследия Калужской области от 21.03.2025 № 45
"Об утверждении границ и режима использования территории выявленного объекта культурного наследия "Жилой дом", посл. треть XIX в., расположенного по адресу: Калужская область, Боровский район, г.Боровск, ул. Коммунистическая, д. 18"
(Зарегистрирован 24.03.2025 № 15381)
Номер опубликования: 4001202503260009
Дата опубликования: 26.03.2025
Страница №4 из 5:
Увеличить