Приказ Управления по охране объектов культурного наследия Калужской области от 14.12.2021 № 233
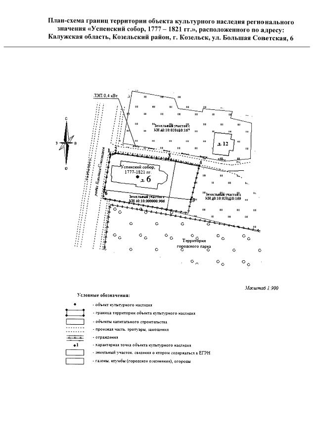
"Об утверждении границ и режима использования территории объекта культурного наследия регионального значения "Успенский собор, 1777 – 1821 гг.", расположенного по адресу: Калужская область, Козельский район, г. Козельск, ул. Большая Советская, 6"
(Зарегистрирован 24.12.2021 № 11459)
"Об утверждении границ и режима использования территории объекта культурного наследия регионального значения "Успенский собор, 1777 – 1821 гг.", расположенного по адресу: Калужская область, Козельский район, г. Козельск, ул. Большая Советская, 6"
(Зарегистрирован 24.12.2021 № 11459)
Номер опубликования: 4001202112290001
Дата опубликования:
29.12.2021
