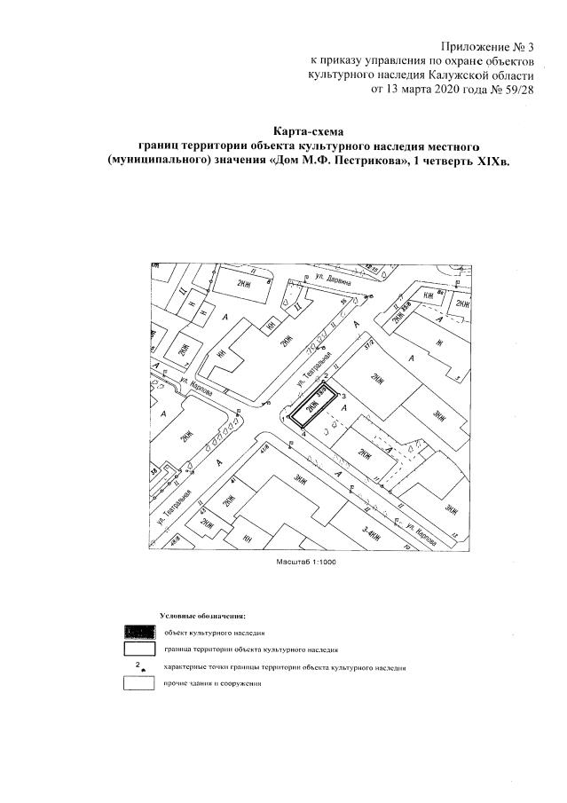
Приказ Управления по охране объектов культурного наследия Калужской области от 13.03.2020 № 59/28
"О включении в единый государственный реестр объектов культурного наследия (памятников истории и культуры) народов Российской Федерации выявленного объекта культурного наследия "Жилой дом (Ларина)", нач. XIX в."
(Зарегистрирован 06.05.2020 № 9618)
"О включении в единый государственный реестр объектов культурного наследия (памятников истории и культуры) народов Российской Федерации выявленного объекта культурного наследия "Жилой дом (Ларина)", нач. XIX в."
(Зарегистрирован 06.05.2020 № 9618)
Номер опубликования: 4001202005080002
Дата опубликования:
08.05.2020
