Официальное опубликование правовых актов
ОФИЦИАЛЬНОЕ ОПУБЛИКОВАНИЕ
Приказ Управления по охране объектов культурного наследия Калужской области от 28.10.2019 № 346
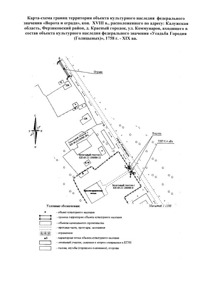
"Об утверждении границ и режима использования территории объекта культурного наследия федерального значения "Ворота и ограда", кон. XVIII в., расположенного по адресу: Калужская область, Ферзиковский район, д. Красный городок, ул. Коммунаров, входящего в состав объекта культурного наследия федерального значения "Усадьба Городня (Голицыных)", 1758 г. - XIХ вв."
(Зарегистрирован 05.11.2019 № 8973)
Номер опубликования: 4001201911110016
Дата опубликования: 11.11.2019
Страница №4 из 6:
Увеличить