Приказ Управления по охране объектов культурного наследия Калужской области от 16.10.2019 № 312
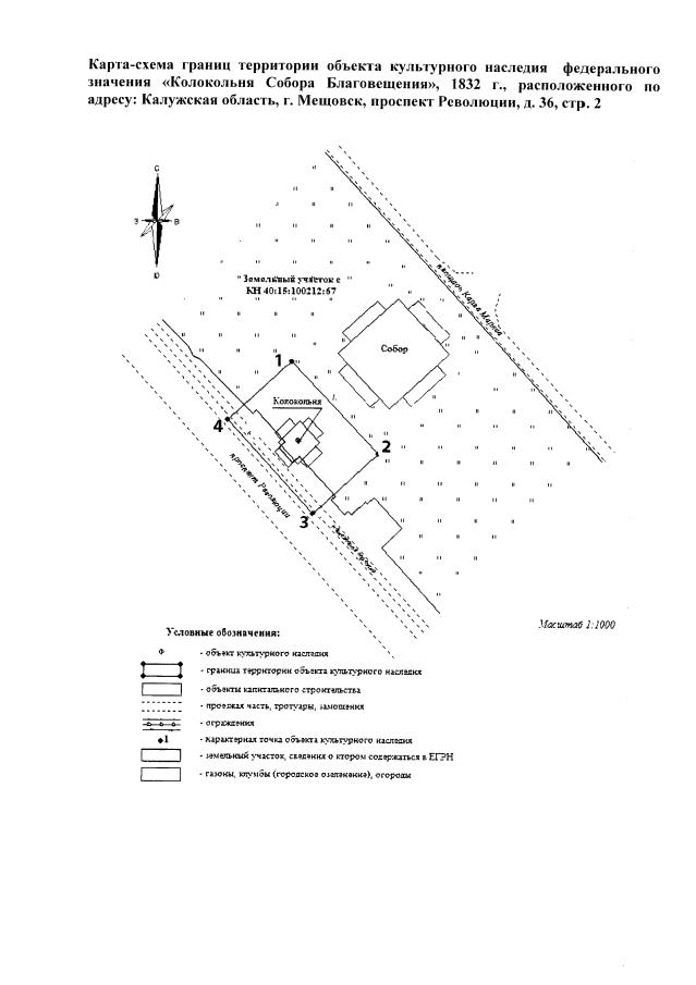
"Об утверждении границ и режима использования территории объекта культурного наследия федерального значения "Колокольня Собора Благовещения", 1832 г., расположенного по адресу: Калужская область, г. Мещовск, проспект Революции, д. 36, стр. 2"
(Зарегистрирован 07.11.2019 № 8981)
"Об утверждении границ и режима использования территории объекта культурного наследия федерального значения "Колокольня Собора Благовещения", 1832 г., расположенного по адресу: Калужская область, г. Мещовск, проспект Революции, д. 36, стр. 2"
(Зарегистрирован 07.11.2019 № 8981)
Номер опубликования: 4001201911110014
Дата опубликования:
11.11.2019
