Официальное опубликование правовых актов
ОФИЦИАЛЬНОЕ ОПУБЛИКОВАНИЕ
Приказ Управления по охране объектов культурного наследия Калужской области от 16.10.2019 № 314
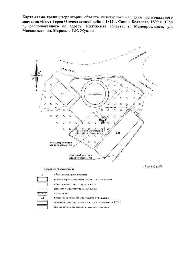
"Об утверждении границ и режима использования территории объекта культурного наследия регионального значения "Бюст Героя Отечественной войны 1812 г. Саввы Беляева", 1899 г., 1950 г., расположенного по адресу: Калужская область, г. Малоярославец, ул. Московская, пл. Маршала Г.К. Жукова"
(Зарегистрирован 29.10.2019 № 8960)
Номер опубликования: 4001201911050006
Дата опубликования: 05.11.2019
Страница №3 из 5:
Увеличить