Официальное опубликование правовых актов
ОФИЦИАЛЬНОЕ ОПУБЛИКОВАНИЕ
Приказ Управления по охране объектов культурного наследия Калужской области от 03.09.2019 № 237
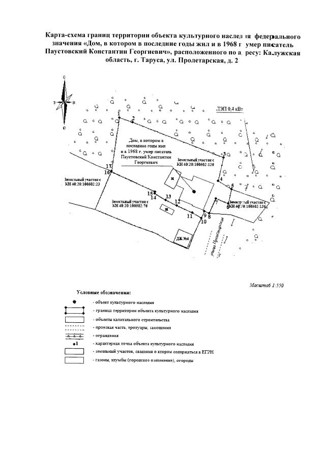
"Об утверждении границ и режима использования территории объекта культурного наследия федерального значения "Дом, в котором в последние годы жил и в 1968 г. умер писатель Паустовский Константин Георгиевич", расположенного по адресу: Калужская область, г. Таруса, ул. Пролетарская, д. 2"
(Зарегистрирован 26.09.2019 № 8879)
Номер опубликования: 4001201910010002
Дата опубликования: 01.10.2019
Страница №3 из 5:
Увеличить