Официальное опубликование правовых актов
ОФИЦИАЛЬНОЕ ОПУБЛИКОВАНИЕ
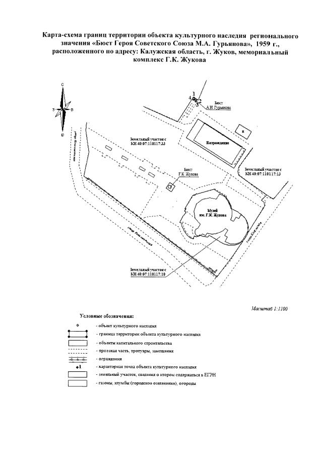
Приказ Управления по охране объектов культурного наследия Калужской области от 03.06.2019 № 145
"Об утверждении границ и режима использования территории объекта культурного наследия регионального значения "Бюст Героя Советского Союза М.А. Гурьянова", 1959 г., расположенного по адресу: Калужская область, г. Жуков, мемориальный комплекс Г.К. Жукова"
(Зарегистрирован 17.06.2019 № 8714)
Номер опубликования: 4001201906210010
Дата опубликования: 21.06.2019
Страница №3 из 5:
Увеличить