Приказ Управления по охране объектов культурного наследия Калужской области от 29.04.2019 № 97
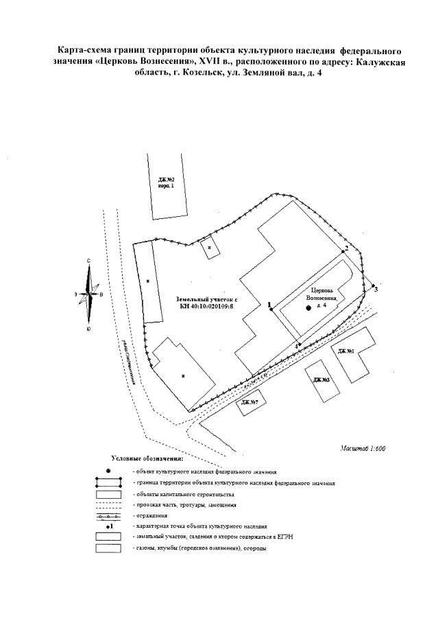
"Об утверждении границ и режима использования территории объекта культурного наследия федерального значения "Церковь Вознесения", XVII в., расположенного по адресу: Калужская область, г. Козельск, ул. Земляной вал, д. 4"
(Зарегистрирован 24.05.2019 № 8655)
"Об утверждении границ и режима использования территории объекта культурного наследия федерального значения "Церковь Вознесения", XVII в., расположенного по адресу: Калужская область, г. Козельск, ул. Земляной вал, д. 4"
(Зарегистрирован 24.05.2019 № 8655)
Номер опубликования: 4001201905290006
Дата опубликования:
29.05.2019
