Официальное опубликование правовых актов
ОФИЦИАЛЬНОЕ ОПУБЛИКОВАНИЕ
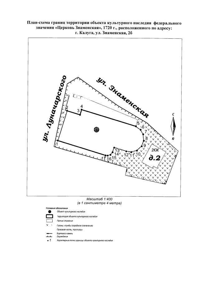
Приказ Управления по охране объектов культурного наследия Калужской области от 23.08.2018 № 225
"Об утверждении границ и режима использования территории объекта культурного наследия федерального значения "Церковь Знаменская", 1720 г., расположенного по адресу: г. Калуга, ул. Знаменская, 2б"
(Зарегистрирован 24.09.2018 № 7885)
Номер опубликования: 4001201809270006
Дата опубликования: 27.09.2018
Страница №4 из 6:
Увеличить