Официальное опубликование правовых актов
ОФИЦИАЛЬНОЕ ОПУБЛИКОВАНИЕ
Приказ Управления по охране объектов культурного наследия Калужской области от 17.07.2018 № 148
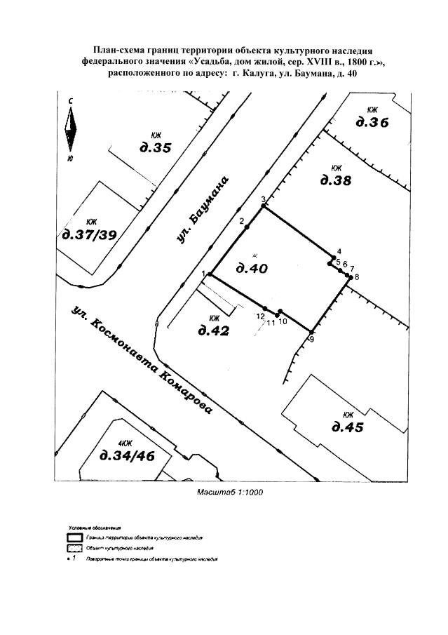
"Об утверждении границ и режима использования территории объекта культурного наследия федерального значения "Усадьба, дом жилой, сер. ХVIII в., 1800 г.", расположенного по адресу: г. Калуга, ул. Баумана, д. 40"
(Зарегистрирован 27.07.2018 № 7733)
Номер опубликования: 4001201808020002
Дата опубликования: 02.08.2018
Страница №4 из 6:
Увеличить