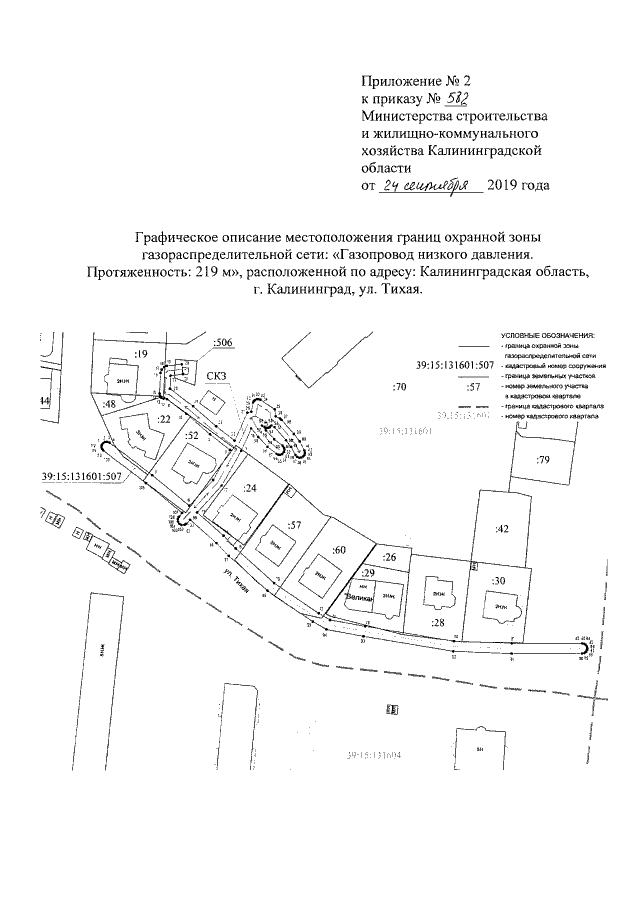
Приказ Министерства строительства и жилищно-коммунального хозяйства Калининградской области от 24.09.2019 № 582
"Об утверждении границ охранных зон газораспределительных сетей и наложении ограничений (обременений) на входящие в них земельные участки"
"Об утверждении границ охранных зон газораспределительных сетей и наложении ограничений (обременений) на входящие в них земельные участки"
Номер опубликования: 3901201910010001
Дата опубликования:
01.10.2019
