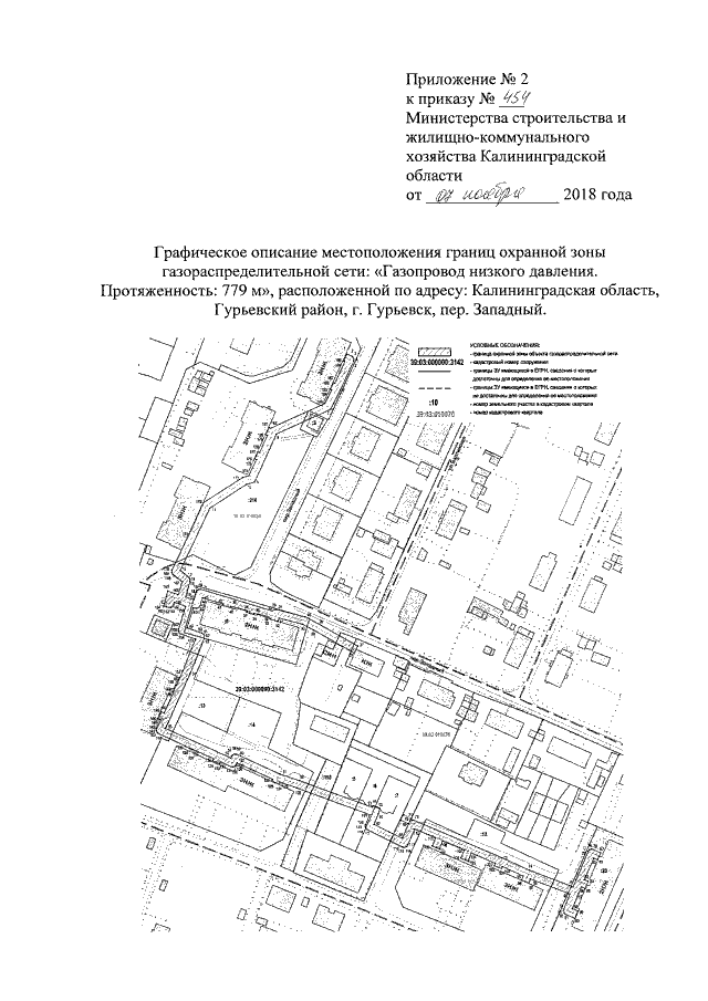
Приказ Министерства строительства и жилищно-коммунального хозяйства Калининградской области от 07.11.2018 № 454
"Об утверждении границ охранных зон газораспределительных сетей и наложении ограничений (обременений) на входящие в них земельные участки"
"Об утверждении границ охранных зон газораспределительных сетей и наложении ограничений (обременений) на входящие в них земельные участки"
Номер опубликования: 3901201811130011
Дата опубликования:
13.11.2018
