Официальное опубликование правовых актов
ОФИЦИАЛЬНОЕ ОПУБЛИКОВАНИЕ
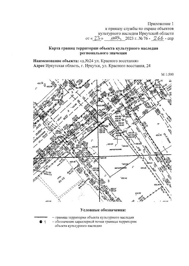
Приказ службы по охране объектов культурного наследия Иркутской области от 23.05.2023 № 76-266-спр
"Об утверждении границ территории и режима использования территории объекта культурного наследия регионального значения"
(Зарегистрирован 02.06.2023 № 04-1130/23)
Номер опубликования: 3801202306070025
Дата опубликования: 07.06.2023
Страница №2 из 4:
Увеличить