Официальное опубликование правовых актов
ОФИЦИАЛЬНОЕ ОПУБЛИКОВАНИЕ
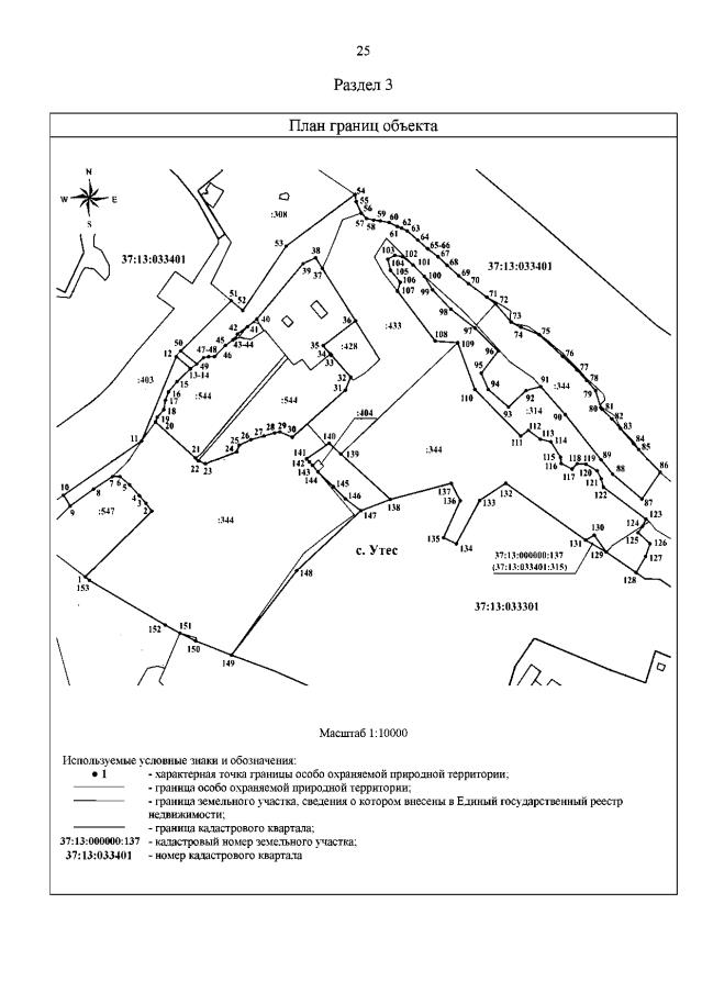
Постановление Правительства Ивановской области от 18.08.2022 № 455-п
"О памятнике природы Ивановской области "Территория бывшего дома отдыха "Порошино"
Номер опубликования: 3700202208190038
Дата опубликования: 19.08.2022
Страница №25 из 53:
Увеличить