Официальное опубликование правовых актов
ОФИЦИАЛЬНОЕ ОПУБЛИКОВАНИЕ
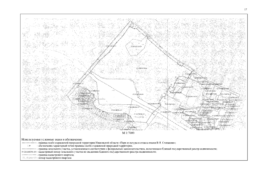
Постановление Правительства Ивановской области от 20.07.2020 № 336-п
"О внесении изменений в постановление Правительства Ивановской области от 30.10.2015 № 505-п "О парке культуры и отдыха Ивановской области "Парк культуры и отдыха имени В.Я. Степанова"
Номер опубликования: 3700202007200001
Дата опубликования: 20.07.2020
Страница №17 из 59:
Увеличить