Официальное опубликование правовых актов
ОФИЦИАЛЬНОЕ ОПУБЛИКОВАНИЕ
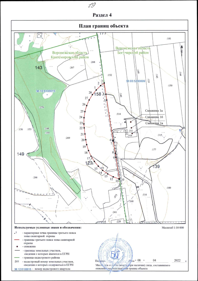
Приказ департамента природных ресурсов и экологии Воронежской области от 05.04.2023 № 172
"Об установлении зон санитарной охраны водозабора подземных вод (скважины № 1а, 1б, 1в) для питьевого, хозяйственно-бытового и технологического водоснабжения Писаревского ЛПУМГ ООО "Газпром трансгаз Волгоград""
(Зарегистрирован 14.04.2023 № 368)
Номер опубликования: 3601202304200004
Дата опубликования: 20.04.2023
Страница №21 из 21:
Увеличить