Официальное опубликование правовых актов
ОФИЦИАЛЬНОЕ ОПУБЛИКОВАНИЕ
Постановление правительства Воронежской области от 23.03.2020 № 250
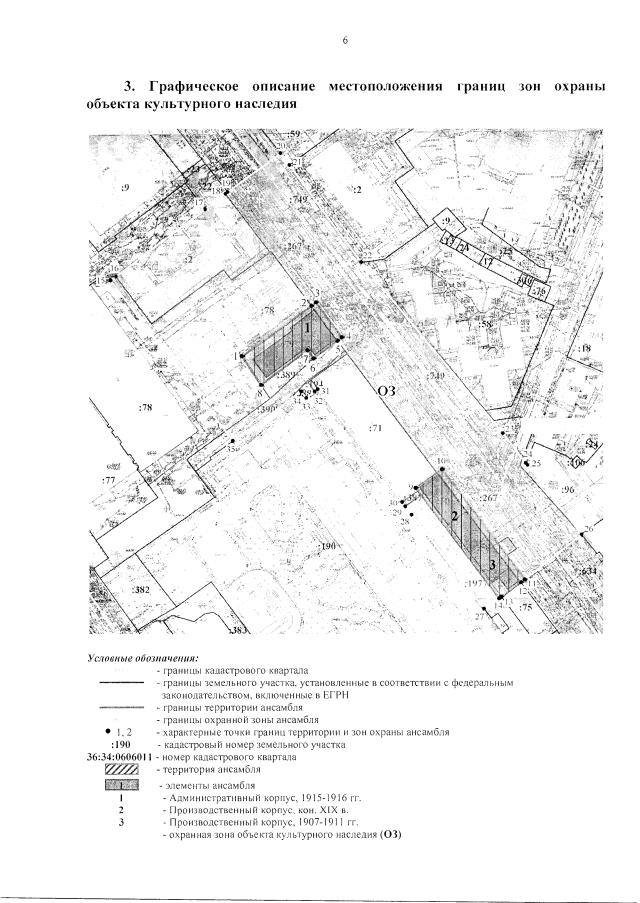
"Об утверждении зон охраны объекта культурного наследия регионального значения "Завод Столля 3 здания" (г. Воронеж, ул. Карла Маркса, 67) и требований к градостроительным регламентам в границах территорий указанных зон"
Номер опубликования: 3600202003250009
Дата опубликования: 25.03.2020
Страница №8 из 8:
Увеличить