Постановление правительства Воронежской области от 21.07.2017 № 578
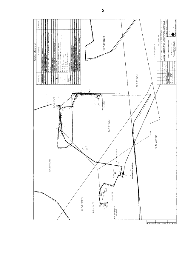
"Об утверждении проекта планировки территории для размещения объекта регионального значения: "Газопровод высокого и низкого давления в с. Андреевка по ул. Ворошилова Нижнедевицкого муниципального района Воронежской области"
"Об утверждении проекта планировки территории для размещения объекта регионального значения: "Газопровод высокого и низкого давления в с. Андреевка по ул. Ворошилова Нижнедевицкого муниципального района Воронежской области"
Номер опубликования: 3600201707210006
Дата опубликования:
21.07.2017
